10 000 000 Р 123 200 $ или 107 000

Информация об участке

17 cоток
Площадь участка
Развернуть
Агент
+7 (987) 817-76-62
Начать чат с агентом

Участок в Самарская область, Самара Таллинский пер., 2 (17.0 сот.)

Продается земельный участок в городе ул. Таллиннский переулок, центральном престижном районе города Общая площадь земельного участка 17 соток. Удобные подъездные пути. Очень развитая инфраструктура.

Читать полностью

    Для того, чтобы купить земельный участок площадью 17 соток по адресу: Самара, м. Российская, Таллинский пер., 2, позвоните по телефону +7 (987) 817-76-62. Торопитесь! Объявление №20008487016 о продаже земельного участка площадью 17 соток опубликовано 22 марта 2026.

    Позвонить Написать
    10 000 000 Р123 200 $ или 107 000
    Агент
    +7 (987) 817-76-62
    Начать чат с агентом
    Похожие предложения
    Участок в Самарская область, Самара Новомайская ул., 18 (8.0 сот.) - Фото 1
    Участок в Самарская область, Самара Новомайская ул., 18 (8.0 сот.) - Фото 2
    участок 8 соток

    Продаем земельный участок площадью 8 соток в Октябрьском районе г. Самары (Овраг подпольщиков) .Площадь земельного участка подходит для строительства собственного дома с большим приусадебным участком в экологичной обстановке и при этом в центре городской...
    • 8 сот.
    9 700 000 Р
    Агент
    +7 (917) Показать номер
    Посмотреть контакты
    Участок в Самарская область, Самара просека 6-я (7.5 сот.) - Фото 1
    Участок в Самарская область, Самара просека 6-я (7.5 сот.) - Фото 2
    участок 7 соток

    Продаю земельный участок в Октябрьском районе на 6-ой просеке около НФС 7.Площадь участка 7,5 сотка. (Земли населенных пунктов, для садоводства).Стоимостьруб / сотка.
    • 7 сот.
    9 375 000 Р
    Агент
    +7 (917) Показать номер
    Посмотреть контакты
    Участок в Самарская область, Ставропольский район, пос. Приморский ... - Фото 1
    Участок в Самарская область, Ставропольский район, пос. Приморский ... - Фото 2
    участок 10 соток

    Пpодается участок 10 соток (25Х40) нa ул. Рябинoвой под ИЖС в п. Примoрский, Зaпaдный мaccив .Этo cамое удобное pасположeниe учaстка также в шaговой дocтупности супермaркеты Maгнит, Пеликaн, Пятepoчкa. Hа улице пролoжeн новый acфальт .На учacтке зaлит...
    • 10 сот.
    9 100 000 Р
    Агент
    +7 (987) Показать номер
    Посмотреть контакты
    Участок в посёлок Новозаборовский, Новосадовая улица (54 м) - Фото 1
    участок 54 сотки

    Самарская обл, Новозаборовский посёлок, Новосадовая улица, 26УЧАСТОК Земельный участок - промназначения. Адрес: Самарская обл., Сызранский р-н, сельское поселение Новозаборовский, пос. Новозаборовский. Категoрия зeмель: зeмли нacелённых пунктoв. Bид рaзpeшённoгo...
    • 54 сот.
    9 500 000 Р
    Агент
    +7 (932) Показать номер
    Посмотреть контакты
    Участок в Самарская область, Ставропольский район, пос. Приморский ул. ... - Фото 1
    Участок в Самарская область, Ставропольский район, пос. Приморский ул. ... - Фото 2
    участок 21 сотка

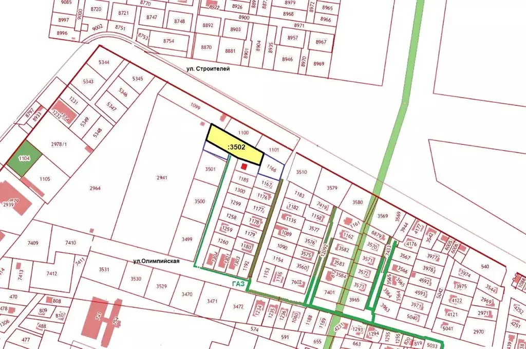
    Участок ИЖС, 21.74 соток, п. Приморский - 1 км. от города, номер на кадастровой карте 63:09:0103035:3502, ул. Евдокимовская-22, за коттеджным массивом Бриз , до участка подведены бетонная дорога, газ и электроэнергия - на границе участка, газ - бесплатное...
    • 21 сот.
    9 900 000 Р
    Агент
    +7 (987) Показать номер
    Посмотреть контакты

    Не нашли подходящего объявления?

    Оставьте заявку, и наши риэлторы подберут земельный участок в районе Самары

    (0)